Service Guide

Get Ants Extermination Service

Local contractors offer ant extermination services to eliminate infestations and protect properties from damage caused by ants and related pests.

Ants can quickly become a persistent nuisance for property owners, making effective extermination services an important consideration for maintaining a comfortable and pest-free environment. Whether dealing with an ongoing invasion or preventing future problems, local contractors specializing in ants extermination offer practical solutions tailored to the needs of your property. Exploring your options and comparing service providers can help ensure you select a solution that aligns with your property's specific requirements.

Property owners in the area often seek professional ant extermination to protect their investments and preserve the integrity of their spaces. By reviewing local service providers, you can find experienced contractors capable of addressing various levels of ant activity efficiently. Continuing to explore your options can help you identify the right partner to manage your pest concerns effectively.

Get Ants Extermination Service Quotes

  • Ants Extermination - needed when ants invade a home or business, disrupting daily activities.
  • Ants Prevention - required to stop future ant infestations after initial removal.
  • Ants Inspection - essential for identifying ant entry points and nesting areas.
  • Ants Removal - necessary when ant populations become overwhelming or persistent.
  • Ants Control - sought after to manage ongoing ant issues and maintain pest-free spaces.
Ants Extermination Service
Ants Extermination Service
Ants Extermination Service

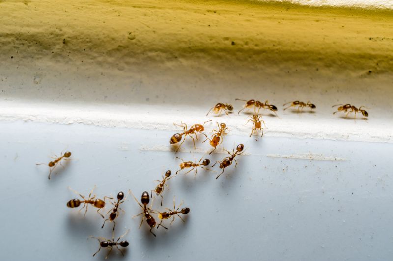
Ants extermination services involve identifying and eliminating ant infestations within residential or commercial properties. Professional service providers typically perform a thorough inspection to locate ant colonies and entry points. They then apply targeted treatments, such as bait stations or insecticides, designed to eradicate ants at their source. This approach helps prevent future invasions and ensures a clean, ant-free environment for homeowners and property managers.

These services are essential for resolving common problems caused by ants, including the presence of large colonies that can invade kitchens, pantries, and other living or storage spaces. Ants can contaminate food, damage structures, and create unsanitary conditions. Professional exterminators not only remove existing colonies but also implement preventive measures to help keep ants from returning, reducing ongoing nuisance and potential property damage.

Ant extermination services are often utilized by a variety of property types, including single-family homes, apartment complexes, and commercial buildings. Homes with easy access points or those located near outdoor ant habitats are particularly vulnerable. Commercial properties such as restaurants, grocery stores, and warehouses also frequently require ant control to maintain hygiene standards and comply with health regulations. These services are suitable for any property experiencing persistent ant activity or seeking proactive pest management.

Homeowners typically seek ant extermination when they notice visible trails, ant mounds, or find ants inside their living spaces. The presence of ants in kitchens or food storage areas often indicates an active colony nearby. Property owners may also consider professional extermination if previous DIY efforts have failed or if infestations become severe. Connecting with local service providers can help determine the most effective treatment options and ensure that ant problems are addressed thoroughly and efficiently.

The overview below groups typical Ants Extermination Service projects into broad ranges so you can see how smaller, mid-sized, and larger jobs often compare in your area.

In many markets, a large share of routine jobs stays in the lower and middle ranges, while only a smaller percentage of projects moves into the highest bands when the work is more complex or site conditions are harder than average.

Basic Ant Control - Typical costs for initial ant extermination services range from $250 to $600 for many smaller jobs. Many routine treatments fall within this middle range, depending on the size of the affected area. Fewer projects reach into the higher tiers unless multiple treatments or extensive infestations are involved.

Spot Treatments - For localized ant issues, local contractors generally charge between $100 and $300 per visit. These smaller jobs are common and often require only one or two visits to resolve the problem effectively. Larger or recurring issues may push costs higher.

Barrier Treatments - Applying perimeter or barrier treatments typically costs between $300 and $800. Many homeowners opt for this approach to prevent future infestations, with costs varying based on property size and treatment complexity. Larger properties may incur higher fees.

Full Property Extermination - Complete ant eradication for larger properties or severe infestations can range from $1,000 to $3,500 or more. These projects are less frequent but necessary for extensive or persistent problems, often involving multiple visits and comprehensive treatment plans.

Actual totals will depend on details like access to the work area, the scope of the project, and the materials selected, so use these as general starting points rather than exact figures.

Get a Quote

Pest Inspection Services - Professionals skilled in identifying pest entry points and nesting areas, similar to ant control planning and site assessment.

Termite Treatment Projects - Local contractors experienced in treating wood-damaging insects, utilizing inspection techniques and targeted application methods akin to ant extermination.

Rodent Control Services - Service providers that develop trapping and exclusion strategies, sharing planning and pest management skills with ant removal efforts.

Bed Bug Eradication Projects - Experts using inspection and treatment techniques to eliminate pests, involving similar preparation and targeted application processes as ant control.

Spider Control Services - Local pros handling spider identification and removal, employing similar pest detection and treatment strategies used in ant extermination.

Wildlife Removal Projects - Contractors managing the safe removal of nuisance animals, requiring planning and exclusion skills comparable to ant pest management.

Ants Extermination Service

When comparing service providers for ant extermination, it’s important to consider their experience with similar projects. Homeowners should look for local contractors who have a proven track record in handling ant infestations comparable to their situation. This can provide confidence that the pros understand the specific challenges involved and have developed effective strategies over time. Requesting details about past work or asking for examples of recent projects can help gauge their familiarity with the type of ant issues faced in the area.

Clear, written expectations are essential to ensure everyone is on the same page before work begins. Homeowners should seek service providers who offer detailed descriptions of their approach, the scope of work, and any preparations needed. Having this information in writing helps prevent misunderstandings and sets a foundation for a smooth process. It’s also helpful to verify that the contractor’s communication style aligns with the homeowner’s preferences, making it easier to ask questions and receive timely updates.

Reputable references and good communication are key indicators of a dependable local contractor. Homeowners can ask for references from previous clients to gain insights into the provider’s reliability and quality of service. Additionally, choosing a provider who responds promptly and clearly to inquiries can make the entire experience more straightforward. Remember, this site serves as a resource to introduce homeowners to local options, not to perform the work itself, so taking the time to evaluate these factors can help in selecting a professional who is well-equipped to handle the ant extermination effectively.

Get an Ants Extermination Service Quote

Property owners use Ants Extermination Service services for practical projects around their homes and businesses. This guide focuses on everyday jobs and straightforward project options.

Ants Extermination Service
Ants Extermination Service

Ants can become a common nuisance for property owners dealing with everyday issues such as food contamination, damaged plants, or unsightly trails on walkways. When ants invade kitchens, pantries, or outdoor spaces, many seek the help of local contractors experienced in pest control to eliminate the problem effectively. These service providers are equipped to handle various ant species and can provide targeted solutions to restore comfort and cleanliness to homes and commercial properties.

In addition to immediate infestations, property owners might look for ant extermination services to prevent future invasions or address recurring issues. Factors like seasonal changes, nearby landscaping, or construction activities can increase the likelihood of ant problems. Local pest control professionals are often called upon to assess the situation, identify the source of the infestation, and implement strategies to keep ants from returning, helping maintain a safe and pest-free environment.

Get an Ants Extermination Service Quote

What signs indicate an ant infestation? Common signs include visible ant trails, the presence of ants near food sources, and small piles of dirt or debris around entry points.

How do local contractors typically eliminate ants? They often use targeted treatments such as baits, sprays, and barrier methods to effectively remove ants from indoor and outdoor spaces.

Are there specific types of ants that are harder to control? Certain species, like carpenter ants or fire ants, may require specialized approaches due to their nesting habits and behavior.

What areas do ant extermination services usually cover? Services generally include kitchens, basements, entry points around the foundation, and outdoor areas like gardens and patios.

How can I prevent future ant problems? Local service providers can advise on sealing entry points, removing attractants, and implementing ongoing treatments to reduce the risk of re-infestation.

Ants Prevention Tips - Property owners can learn practical strategies to reduce ant attractants around their homes, such as sealing entry points and managing food sources.

Inspection & Identification - Local contractors can assess the property to identify ant activity and determine the most effective extermination methods.

Customized Extermination Plans - Homeowners can explore tailored service options that fit their specific needs and property layouts.

Ongoing Monitoring - Property owners can implement regular checks to detect early signs of ant infestations and maintain a pest-free environment.

Ants Extermination Service

If you are thinking about Ants Extermination Service for a property, this guide is meant to help you understand the work, the typical project types, and how different options might fit your plans.

When you are ready, you can use the quote form on this page to share a few details about your project. From there, local pros can review the basics and respond with options that match what you have in mind.

Get a Quote

Ants Extermination Quotes

Our Trusted Partners
North Florida Lawn & Pest, LLC
Get Green Lawn Kings
Kilter Termite and Pest Control